ファミマnews|川内村特産品「かわうちワイン」福島県内店舗で12/4発売
(株)ファミリーマート(東京都港区、細見研介社長)は12月4日(水)から、福島県川内村の特産品「かわうちワイン」を、福島県内のファミリーマートの酒類取扱店約50店舗で発売している。今月中に約90店まで拡大予定。

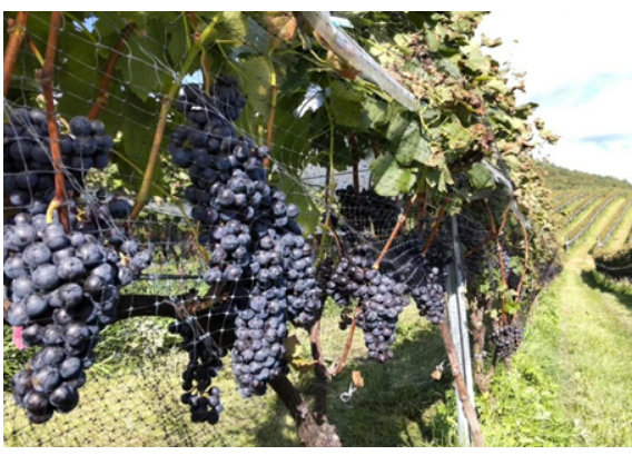
2024年10月、12月販売開始の新酒原料となるぶどうを収穫するため、福島県内のファミリーマート加盟者とファミリーマート本部社員による「ぶどう収穫ボランティア」を実施した。また福島県と伊藤忠商事が包括協定を結んでいることから、販路として紹介してもらい、福島県内のファミリーマートで「かわうちワイン」の取り扱いが実現した。

「ヴィラージュ シャルドネ2023」は、スダチやカボスのような和柑橘の香りとクチナシの花のような独特な香りが特徴のシャルドネ。シャルドネを100%使用で、アルコール度数11.5%、容量は750ml、辛口の白ワイン。本体価格は3000円(以下同)。

「ヴィラージュ ブラン2023」は、ソーヴィニヨンブランがレモン、グレープフルーツのような柑橘の印象を与え、わずかなハーブの香り、野生酵母発酵が品種の個性を引き出した辛口の白ワイン。シャルドネ81%、ソーヴィニヨンブラン19%のブレンド。アルコール度数11.5%、容量750ml。価格は2700円。

「ヴィラージュ メルロー2023」は、ピエドキューブによる野生酵母で発酵し、粗ろ過だけの瓶詰めによりうまみを湛えた辛口の赤ワイン。自社畑100%のメルローを使用し、アルコール度数11.5%、容量は750ml。価格は3100円。
「かわうちワイナリー」は、福島県川内村の美しい大自然に囲まれ、ブドウ畑「高田島ヴィンヤード」は標高約750mの地に位置する。冷涼な気候と花崗岩質土壌がもたらす溌剌とした酸味、そして豊かなアロマが特徴のワインを生み出している。

